Có thể rất nhiều người đã nghe được rất nhiều lần trên bản tin dự báo thời tiết từ “Áp thấp nhiệt đới”. Thế nhưng không phải ai cũng hiểu định nghĩa hiện tượng này là gì? Nguyên nhân hình thành áp thấp nhiệt đới và hậu quả của hiện tượng này như thế nào? Hãy cùng tìm hiểu hiện tượng tự nhiên này ngay dưới đây nhé!
Áp thấp nhiệt đới là gì?
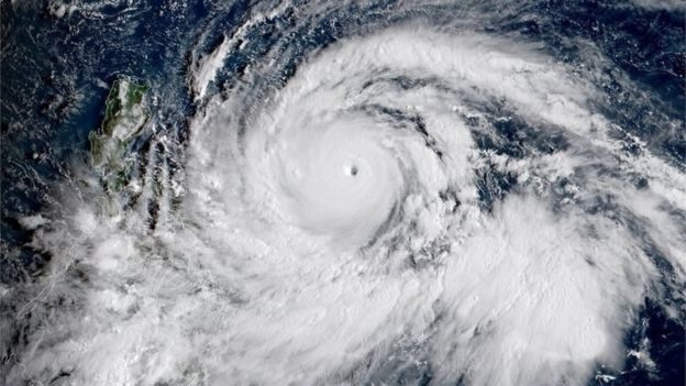
Áp thấp nhiệt đới là hiện tượng tự nhiên và thường xảy ra hàng năm. Thực chất áp thấp nhiệt đới là một vùng xoáy, có đường kính lên tới hàng trăm kilomet. Hiện tượng này được hình thành chủ yếu trên những vùng có khí hậu nóng như biển nhiệt đới. Áp suất khí quyển trong những cơn bão sẽ thấp hơn nhiều so với những vùng xung quanh (dưới 1000mb).

Tên Tiếng Anh của áp thấp nhiệt đới là tropical depression. Đây là tên gọi của một hiện tượng thời tiết phức hợp thường diễn ra trên diện rộng ở trên biển. Đôi khi có ở cả đất liền do hiện tượng gió xoáy tập trung quanh một vùng áp thấp nhưng lại chưa đủ mạng để phát triển thành bão nhiệt đới.
Nguyên nhân hình thành áp thấp nhiệt đới
Các yếu tố để hình thành nên áp thấp nhiệt đới bao gồm: khí áp, nhiệt độ, hơi nước, gió,… Những điều kiện này trên bề mặt khí quyển vì vậy áp thấp nhiệt đới thường xuất hiện ở những vùng khí hậu nóng, đại dương hay trên vùng biển nhiệt đới. Quá trình hình thành áp thấp nhiệt đới khi một vùng không khí nóng lên các vùng lân cận. Khí áp sẽ bị giảm kéo theo sự hút gió từ các phía có khí áp cao hơn và tạo ra hơi nước.
Do tác động của lực lệch hướng do Trái Đất tự quay khiến cho hướng gió hút vào vùng tâm áp thấp tạo thành vùng gió xoáy. Ở khu vực bán cầu Bắc, hướng gió lệch về bên phải tạo thành xoáy nghịch nhiệt đới. Tại bán cầu Nam thì lực lệch hướng làm cho hướng gió lệch sang bên trái so với hướng chuyển động. Quá trình này tạo thành vùng xoáy thuận nhiệt đới. Ở hai bán cầu sự thay đổi hai hướng gió ngược chiều đã hình nên các nhiễu động điện khi ở các vùng khí hậu ôn đới, tạo thành áp thấp nhiệt đới.
Ảnh hưởng của áp thấp nhiệt đới?
Áp thấp nhiệt đới mạnh lên có thể hình thành bão. Những cơn bão có sức gió giật mạnh, kèm theo mưa, dông lốc gây thiệt hại về người và tài sản, trì trệ hoạt động kinh doanh và ảnh hưởng đến đời sống. Áp thấp nhiệt đới hình thành trên biển Đông có thể gây ra các hiện tượng gió mạnh, kèm theo sóng lớn, mưa giông, tập trung gây lũ lụt cho những vùng mà áp thấp đi qua.

Những vùng áp thấp chưa mạnh do tốc độ gió còn ở mức trung bình sẽ chủ yếu gây hậu quả mưa lớn, đổ bộ vào bờ biển. Đặc biệt gây ảnh hưởng lớn đến các thuyền đánh cá của ngư dân. Các tàu nhỏ thì ảnh hưởng của áp thấp là rất đáng kể. Chính vì vậy những người đi tàu biển phải trang bị đầy đủ các phương tiện thông tin liên lạc, đồ cứu hộ để dễ dàng theo dõi thời tiết cũng như kịp thời thông báo tìm cách ứng phó.
Áp thấp thường hình thành vào thời gian nào?
Mùa mưa bão ở nước ta thường bắt đầu từ tháng 5,6 ở miền Bắc và di chuyển vào miền Nam cho đến hết tháng 12. Mùa bão đỉnh điểm xuất hiện nhiều rơi vào các tháng 3, tháng 9, 10, 11. Theo ước tính trung bình mỗi năm sẽ có từ 4 – 6 cơn bão và áp thấp nhiệt đới vào bờ biển nước ta. Khi chưa hình thành bão, tốc độ gió dưới 63km/h thì gọi là áp thấp nhiệt đới. Tuy nhiên áp thấp nhiệt đới cũng có thể mạnh lên thành bão, gây ra những hậu quả nghiêm trọng. Vì vậy phải thường xuyên theo dõi diễn biến của áp thấp.
Bài viết trên đã giới thiệu đến bạn thông tin về áp thấp nhiệt đới, quá trình hình thành và ảnh hưởng. Hi vọng rằng bài viết sẽ đem lại những nguồn thông tin hữu ích cho quý bạn.
